Local Service Overview

Get Ants Extermination Service in Sugar Land, TX

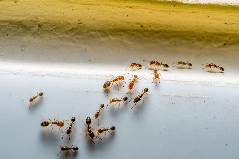
Ants extermination services for property owners in Sugar Land, TX, and nearby areas address ant infestations, prevent future invasions, and handle residential and commercial ant control projects.

Sugar Land, TX

Ants extermination services are essential for property owners in Sugar Land, TX seeking to maintain a safe and comfortable environment. Effective pest control helps prevent ant infestations that can compromise the safety of occupants and the integrity of structures. By addressing ant issues promptly, property owners can enjoy a more functional living or working space, free from the disruptions and potential damage caused by these pests. Additionally, professional extermination can contribute to reduced maintenance needs, as controlling ant populations helps protect landscaping, foundations, and other key areas from damage.

Choosing to work with local pest control providers offers the benefit of enhancing curb appeal and overall property durability. A well-maintained exterior free of ant colonies creates a cleaner, more inviting appearance. Regular extermination efforts can also extend the longevity of building materials and landscaping features, reducing long-term repair costs. For property owners in Sugar Land, TX, investing in professional ant extermination services supports a safer, more attractive, and more functional property environment.

Get Ants Extermination Service Quotes

  • Ants Extermination - needed when ants invade kitchens or living areas in neighborhoods around Sugar Land, TX.
  • Ants Extermination - required when persistent ant trails are found in residential or commercial properties nearby.
  • Ants Extermination - necessary for properties experiencing ant colonies in yards or garden beds in the Houston metropolitan area.
  • Ants Extermination - sought after when ant nests are located inside walls or under flooring in local homes or businesses.
  • Ants Extermination - essential when ant activity increases during warmer months in communities across Fort Bend County.

Get Ants Extermination Service Quotes

Ants Extermination Service
Ants Extermination Service
Ants Extermination Service

Ants extermination services involve professional treatments designed to eliminate ant colonies and prevent future invasions. These services typically include thorough inspections to identify the extent of the ant problem, followed by targeted application of pest control solutions. Depending on the severity of the infestation, local service providers may use baiting systems, residual insecticides, or other methods to effectively reduce or eradicate ant populations within the property. The goal is to create a barrier that deters ants from entering indoor spaces and to eliminate the nests that serve as sources of ongoing activity.

Ant infestations can cause a variety of problems for property owners. Aside from the nuisance of constant ant activity, some species can contaminate food supplies and surfaces, leading to hygiene concerns. In certain cases, ants may also cause structural damage, especially if they establish nests within walls or foundations. Persistent ant issues can become difficult to manage without professional intervention, as DIY methods often fail to reach hidden colonies or provide long-term solutions. Professional extermination services address these challenges by employing effective strategies to control and eliminate ant populations.

Properties that commonly utilize ants extermination services include residential homes, apartment complexes, and commercial buildings. In residential settings, ants often invade kitchens, pantries, and other areas where food is stored or prepared. Multi-unit dwellings may experience widespread infestations that require coordinated treatment efforts. Commercial properties such as restaurants, grocery stores, and food processing facilities also frequently seek professional pest control to meet health standards and prevent disruptions caused by ant activity. Additionally, property managers and landlords often rely on extermination services to maintain a pest-free environment for tenants and visitors.

Professional ants extermination services are essential for achieving long-lasting pest control results. Local service providers typically offer customized treatment plans tailored to the specific needs of each property and infestation level. These services aim to eliminate existing ant colonies and implement preventative measures to reduce the likelihood of future invasions. By working with experienced pest control professionals, property owners can address ant problems efficiently and effectively, ensuring a cleaner and more comfortable environment.

The overview below groups typical Ants Extermination Service projects into broad ranges so you can see how smaller, mid-sized, and larger jobs often compare in Sugar Land, TX.

In many markets, a large share of routine jobs stays in the lower and middle ranges, while only a smaller percentage of projects moves into the highest bands when the work is more complex or site conditions are harder than average.

Per-Visit Cost - Ant extermination services typically range from $100 to $300 per visit, depending on the severity of the infestation and property size. For example, a small home may cost closer to $100, while larger properties could be around $250 or more.

Treatment Package Pricing - Many local pros offer package deals averaging between $200 and $600 for multiple treatments. These packages often include initial inspection, treatment, and follow-up visits to ensure ant control.

Initial Inspection Fees - Some service providers charge an inspection fee of approximately $50 to $150, which may be credited toward the total cost if treatment is scheduled. The fee varies based on property size and complexity of the ant problem.

Additional Service Costs - Extra charges may apply for specialized treatments or difficult-to-reach areas, typically adding $50 to $200 to the overall cost. These costs depend on the extent of the ant infestation and the treatment method used.

Actual totals will depend on details like access to the work area, the scope of the project, and the materials selected, so use these as general starting points rather than exact figures.

Get an Ants Extermination Service Quote

Ants Extermination services involve professionals who identify ant infestations and implement targeted treatment plans to eliminate colonies effectively.

Local pros offer ant control solutions suitable for residential and commercial properties, addressing common and invasive species.

Ants Extermination services typically include inspection, baiting, and environmentally safe treatments to reduce ant populations.

Experts may also provide advice on preventing future ant invasions through property maintenance and sanitation tips.

Contacting local ant extermination specialists can help manage and resolve persistent ant problems efficiently.

These services are available in Sugar Land, TX, and nearby areas, connecting clients with experienced pest control providers.

Ants Extermination Service

When evaluating ant extermination services, it is important to consider the experience of local professionals. An experienced provider will have a history of successfully managing ant infestations in the area, which can contribute to more effective treatment outcomes. Homeowners should look for service providers with a solid track record in pest control, particularly with ant-specific issues, to ensure they are working with knowledgeable and capable experts.

Clear communication and well-defined expectations are vital when selecting a pest control company. Reputable local pros typically offer detailed information about their methods, what homeowners can expect during and after treatment, and any necessary follow-up steps. This transparency helps establish trust and ensures that homeowners are informed about the process, reducing uncertainty and helping to set realistic outcomes.

Reputable references and positive feedback from previous clients can provide valuable insight into a service provider’s reliability and quality of work. Homeowners are encouraged to seek out local pros with a history of satisfied customers and consistent service standards. Effective communication and a transparent approach are often reflected in the reviews and references, making these elements key factors in choosing a pest control professional for ant extermination services.

Get an Ants Extermination Service Quote

Property owners in Sugar Land, TX use Ants Extermination Service services for practical projects around their homes and businesses. The sections below highlight everyday jobs and straightforward project options.

Ants Extermination Service
Ants Extermination Service

Ants extermination services are commonly sought after by property owners in Sugar Land, TX who notice ant activity around their homes or commercial buildings. Common situations include encountering persistent ant trails in kitchens, bathrooms, or outdoor areas, which can indicate an ongoing infestation. Property owners may also seek professional assistance after attempting DIY solutions that fail to eliminate the problem or when they observe increased ant activity during warmer months.

In addition to visible ant presence, property owners might contact local service providers to prevent future invasions or protect outdoor spaces such as gardens and patios. Ants can be attracted to food sources, moisture, or debris around the property, prompting homeowners and business owners to seek professional help to address these attractants and ensure their spaces remain ant-free.

Get an Ants Extermination Service Quote

How do ant extermination services work? Ant extermination services typically involve inspection, identification of ant species, and targeted treatment methods to eliminate colonies and prevent future infestations.

Are the treatments safe for pets and children? Many local pros use treatment options that are safe for homes with pets and children; it’s best to discuss safety concerns when contacting service providers.

How long does an ant extermination treatment take? The duration of treatment varies depending on the extent of the infestation and the methods used, but many services can complete the process in a few hours.

Will I need multiple treatments to control ants? Some ant species may require multiple treatments for complete eradication, especially if the colony is large or deeply established.

How can I prevent future ant problems? Local pros often recommend sealing entry points, maintaining clean surroundings, and scheduling regular inspections to help prevent future ant issues.

Ants Extermination Techniques - Local pest control providers utilize various methods to eliminate ant infestations, including baiting, spraying, and dusting.

Inspection and Identification - Professionals conduct thorough inspections to identify ant species and nesting areas for targeted treatment.

Preventive Strategies - Service providers offer advice and treatments to reduce the likelihood of future ant problems around properties.

Eco-Friendly Options - Many local providers offer environmentally conscious ant control solutions tailored to customer preferences.

Ants Extermination Service

Considering Ants Extermination Service for a property in Sugar Land, TX? The sections above highlight common project types, practical options, and details that often shape the scope of work.

When you are ready, use the quote form to share a few details about your project. Local pros can review the basics and respond with options that match what you have in mind.

Get an Ants Extermination Service Quote

Ants Extermination Quotes

Our Trusted Partners
Cantu Pest Control
Orkin
Hawx Pest Control