Local Service Overview

Get Ants Extermination Service in Missouri City, TX

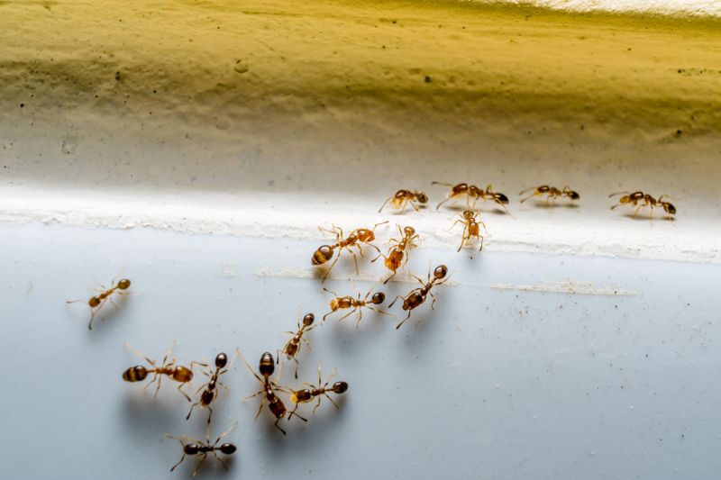
Ants extermination services for property owners in Missouri City, TX, and nearby areas address ant infestations, prevent future invasions, and handle residential and commercial pest control projects.

Missouri City, TX

Ants extermination services provide property owners in Missouri City, TX with an effective solution to manage and prevent ant infestations. These services help maintain a comfortable living environment by reducing the presence of pests that can be disruptive or cause damage. Proper extermination can also enhance safety by minimizing potential contamination or bites, ensuring that homes and businesses remain safe and inviting. Additionally, eliminating ants helps preserve the functionality and durability of structures by preventing damage to wood, wiring, and other materials that ants may compromise over time.

Choosing professional ant extermination offers benefits such as reduced ongoing maintenance and improved curb appeal. Regular treatments can prevent future invasions, saving property owners time and effort on repeated pest control measures. A pest-free property not only looks more appealing but also supports a sense of comfort and peace of mind. Local service providers are equipped to deliver tailored solutions that address specific pest challenges, helping property owners enjoy a safer, more functional, and visually attractive environment.

Get Ants Extermination Service Quotes

  • Ant Infestation Removal - needed when ants invade kitchens, pantries, or living areas in residential or commercial properties.
  • Fire Ant Control - required for outdoor lawns and gardens in neighborhoods experiencing fire ant mounds or bites.
  • Carpenter Ant Treatment - necessary when wood structures or furniture show signs of ant damage or nesting activity.
  • Odorous House Ant Extermination - sought when sweet-smelling ants become a persistent nuisance inside homes or businesses.
  • Pavement Ant Solutions - applicable in areas with ant colonies under sidewalks, driveways, or paved pathways in nearby communities.

Get Ants Extermination Service Quotes

Ants Extermination Service
Ants Extermination Service
Ants Extermination Service

Ants extermination services involve identifying and eliminating ant infestations within residential, commercial, or industrial properties. Professionals typically conduct thorough inspections to locate ant colonies and determine the species involved. Treatment methods may include the application of targeted baits, insecticides, or barriers designed to eradicate existing colonies and prevent future invasions. These services aim to address the root causes of ant problems, ensuring a comprehensive approach to pest control.

Ant infestations can create significant nuisance and potential damage, especially when ants invade kitchens, pantries, or storage areas. They can contaminate food supplies and cause discomfort for occupants. In some cases, certain ant species, such as fire ants, pose health risks due to their painful stings and allergic reactions. Ant extermination services help solve these issues by removing colonies and implementing preventative measures to maintain a pest-free environment.

Various types of properties typically utilize ant extermination services, including single-family homes, apartment complexes, restaurants, and retail stores. Residential properties often seek assistance to protect food storage areas and maintain hygiene, while commercial establishments aim to prevent disruptions caused by ant activity. Additionally, warehouses and industrial facilities may require pest control solutions to safeguard inventory and ensure compliance with health standards.

Professional ant extermination services are tailored to the specific needs of each property type and infestation severity. Local pest control providers offer customized treatment plans that consider the property’s layout, the extent of the ant problem, and the species involved. Contacting experienced service providers can help property owners effectively manage and prevent ant issues, ensuring a cleaner, safer environment.

The overview below groups typical Ants Extermination Service projects into broad ranges so you can see how smaller, mid-sized, and larger jobs often compare in Missouri City, TX.

In many markets, a large share of routine jobs stays in the lower and middle ranges, while only a smaller percentage of projects moves into the highest bands when the work is more complex or site conditions are harder than average.

Initial Inspection - The cost for an ant inspection typically ranges from $50 to $150, depending on property size and complexity. This fee covers identifying ant species and nesting areas. Some providers include the inspection in the overall treatment cost.

Per-Visit Treatment - A single ant extermination treatment can cost between $100 and $300. Prices vary based on the extent of the infestation and the treatment method used. Multiple visits may be necessary for ongoing control.

Monthly Maintenance Plans - Ongoing pest control plans for ant prevention often range from $40 to $70 per month. These plans usually include regular inspections and treatments to keep ants at bay over time.

Whole-Property Treatments - Complete property extermination services can cost from $200 to $600, depending on the size and severity of the ant problem. Larger or heavily infested properties generally incur higher costs.

Actual totals will depend on details like access to the work area, the scope of the project, and the materials selected, so use these as general starting points rather than exact figures.

Get an Ants Extermination Service Quote

Ants Extermination - Local pest control providers offer targeted treatments to eliminate ant colonies and prevent future infestations in residential and commercial properties.

Ants Prevention - Service providers assist with identifying and sealing entry points to reduce the likelihood of ant invasions around homes and businesses.

Ants Inspection - Professionals conduct thorough inspections to determine the extent of ant activity and identify nesting sites for effective treatment planning.

Ants Treatment - Experts utilize various treatment methods, including baits and residual sprays, to eradicate ants and control their populations.

Ants Barrier Services - Local providers establish protective barriers around structures to block ant entry points and deter future infestations.

Ants Management - Ongoing management services help maintain ant-free environments through regular monitoring and treatments as needed.

Ants Extermination Service

When evaluating ant extermination services, experience is a key factor to consider. Local pest control providers with a proven track record in Missouri City, TX, and surrounding areas often have a better understanding of common ant issues specific to the region. They can offer insights into effective treatment methods and have a history of handling similar cases successfully. Reviewing a contractor’s background, including how long they have been operating and their familiarity with local ant species, can help homeowners make informed decisions.

Clear communication and well-defined expectations are essential when working with ant extermination specialists. Reputable service providers typically outline their treatment approaches, what homeowners can expect during and after the service, and any necessary follow-up procedures. This transparency helps ensure that homeowners understand the scope of work and can plan accordingly. Establishing open lines of communication with the chosen provider can also facilitate addressing any questions or concerns that may arise throughout the process.

References and reputation are valuable indicators of a service provider’s reliability. Homeowners can seek out local pros who come recommended by neighbors or have positive reviews from previous clients. Reputable providers often have a history of satisfied customers and can provide references upon request. While online reviews can offer additional insights, speaking directly with past clients can give a clearer picture of the contractor’s professionalism, responsiveness, and quality of work. This information can help homeowners select a pest control service that aligns with their needs and expectations.

Get an Ants Extermination Service Quote

Property owners in Missouri City, TX use Ants Extermination Service services for practical projects around their homes and businesses. The sections below highlight everyday jobs and straightforward project options.

Ants Extermination Service
Ants Extermination Service

Ants extermination services are often sought by property owners in Missouri City, TX, dealing with common household invaders. These pests can appear unexpectedly, especially during warmer months, and may invade kitchens, pantries, or other areas where food is stored. Property owners might look for professional assistance to effectively eliminate ant colonies and prevent future infestations, ensuring a clean and pest-free living environment.

In addition to kitchens, ants can be found nesting outdoors around foundations or landscaping, which can lead to recurring indoor issues if not addressed properly. Property owners may seek local extermination services to identify the source of the problem and implement targeted treatments. Regular inspections and treatments by experienced providers can help maintain a pest-free property and reduce the likelihood of ants returning.

Get an Ants Extermination Service Quote

How do ant extermination services work? Ant extermination services typically involve inspecting the property to identify ant colonies and entry points, then applying targeted treatments to eliminate ants and prevent future infestations. Local service providers customize approaches based on the ant species and severity of the problem.

Are ant treatments safe for pets and children? Most professional ant extermination treatments are formulated to be safe when applied by experienced technicians. It is recommended to follow any specific instructions provided by the service provider to ensure safety for pets and children.

How long does an ant extermination treatment last? The duration of effectiveness varies depending on the treatment method and level of infestation. Many services offer ongoing monitoring or follow-up treatments to maintain ant control over time.

What should I do before a pest control appointment? It is advisable to clear the area around ant entry points and follow any preparatory instructions provided by the service provider to ensure effective treatment and safety.

Can ant extermination prevent future infestations? Yes, professional ant extermination often includes recommendations for ongoing prevention, such as sealing entry points and maintaining cleanliness to reduce the likelihood of future ant problems.

Ant Control Solutions - Local pest control providers offer targeted treatments to eliminate ant colonies and prevent future infestations.

Inspection and Identification - Professionals can assess property conditions to identify ant entry points and nesting areas.

Preventative Strategies - Service providers recommend sealing cracks and removing attractants to reduce ant activity around properties.

Ongoing Maintenance - Regular inspections and treatments help maintain ant-free environments over time.

Ants Extermination Service

Considering Ants Extermination Service for a property in Missouri City, TX? The sections above highlight common project types, practical options, and details that often shape the scope of work.

When you are ready, use the quote form to share a few details about your project. Local pros can review the basics and respond with options that match what you have in mind.

Get an Ants Extermination Service Quote

Ants Extermination Quotes

Our Trusted Partners
Cantu Pest Control
Orkin
Hawx Pest Control