Local Service Overview

Get Ants Extermination Service in Pearland, TX

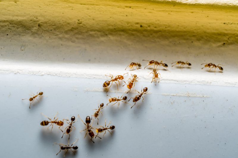
Ants extermination services for property owners in Pearland, TX, and nearby areas address ant infestations, prevent future invasions, and handle residential and commercial pest control projects.

Pearland, TX

Ants extermination services in Pearland, TX, address a common concern for property owners seeking to maintain a comfortable and functional living or working environment. Effective pest control helps prevent ant infestations that can disrupt daily activities, cause property damage, or compromise hygiene. By partnering with local service providers, property owners can achieve a pest-free space that enhances overall safety and peace of mind, ensuring that homes and commercial spaces remain inviting and operational.

Choosing professional ant extermination also offers benefits related to durability and reduced maintenance. Proper treatment methods help eliminate existing colonies and prevent future invasions, extending the longevity of structures and reducing the need for frequent repairs or cleanups. Additionally, a pest-free exterior boosts curb appeal, contributing to a more attractive property that maintains its value and appeal over time. Connecting with experienced local pros ensures tailored solutions that meet specific needs and provide lasting results.

Get Ants Extermination Service Quotes

  • Ants Extermination - needed when ant colonies invade homes or businesses in Pearland, TX and surrounding areas.
  • Ants Extermination - required when persistent ant problems disrupt daily activities in nearby communities.
  • Ants Extermination - necessary when ants are found in kitchens, bathrooms, or other indoor spaces in the region.
  • Ants Extermination - sought after when outdoor ant mounds threaten to spread into residential or commercial properties.
  • Ants Extermination - essential when ant infestations are difficult to control with DIY methods in the local area.

Get Ants Extermination Service Quotes

Ants Extermination Service
Ants Extermination Service
Ants Extermination Service

Ants extermination services involve the identification and elimination of ant colonies that invade residential, commercial, or industrial properties. Professionals typically conduct a thorough inspection to locate ant nests and entry points, then apply targeted treatments to eradicate the pests. These services may include the use of baits, sprays, or dusts designed to eliminate ants at various stages of their life cycle. The goal is to reduce or eliminate ant populations, preventing further infestations and minimizing the nuisance they cause.

Ant infestations can lead to various problems beyond mere annoyance. Certain ant species, such as fire ants, can pose health risks through painful stings or allergic reactions. Additionally, ants may contaminate food supplies, damage property by nesting in walls or electrical systems, or create unsanitary conditions in food preparation areas. Professional extermination services help address these issues by effectively removing the pests and implementing measures to prevent future invasions.

These extermination services are commonly used on a range of property types, including single-family homes, apartment complexes, restaurants, and retail stores. Residential properties often require ant control to maintain comfort and hygiene, especially in kitchens and food storage areas. Commercial properties, particularly those involved in food handling or retail, seek professional help to ensure pest-free environments that meet health standards. Additionally, property managers and landlords may utilize these services to manage infestations across multiple units or buildings.

Engaging with local pest control providers for ant extermination can offer tailored solutions based on the specific type of ant and property layout. Experts assess the severity of the infestation and recommend appropriate treatment plans to address the problem effectively. Regular inspections and preventive treatments may also be part of ongoing pest management strategies. Contacting local professionals ensures that property owners and managers receive specialized assistance to control ant populations and protect their spaces from future invasions.

The overview below groups typical Ants Extermination Service projects into broad ranges so you can see how smaller, mid-sized, and larger jobs often compare in Pearland, TX.

In many markets, a large share of routine jobs stays in the lower and middle ranges, while only a smaller percentage of projects moves into the highest bands when the work is more complex or site conditions are harder than average.

Initial Inspection - The cost for an ant inspection typically ranges from $50 to $150, depending on property size and complexity. This fee covers identifying ant activity and entry points. Some providers include the inspection in their overall treatment cost.

Treatment Services - Ant extermination treatments usually cost between $100 and $300 per service. The price varies based on the extent of infestation and the treatment method used. Larger properties or severe infestations may incur higher costs.

Follow-Up Visits - Follow-up treatments or inspections often range from $50 to $150 each visit. These visits ensure that ant activity has been effectively controlled and may be recommended for ongoing prevention.

Preventive Measures - Installing barriers or bait stations for ant prevention can cost between $75 and $200. These measures help reduce future infestations and are often part of a comprehensive pest management plan.

Actual totals will depend on details like access to the work area, the scope of the project, and the materials selected, so use these as general starting points rather than exact figures.

Get an Ants Extermination Service Quote

Ants Extermination services connect homeowners with local pest control providers experienced in eliminating ant infestations effectively.

Residential Ants Control providers specialize in treating homes to remove ant colonies and prevent future invasions in neighborhoods like Pearland, TX.

Commercial Ants Removal services assist businesses in maintaining pest-free environments by targeting ant problems in commercial properties.

Eco-friendly Ants Treatment options are available through local providers who use safe products to manage ant populations without harmful chemicals.

Emergency Ants Extermination services offer prompt assistance for urgent ant infestations disrupting homes or workplaces.

Ants Inspection and Prevention services include assessments to identify ant entry points and recommendations to reduce the risk of future invasions.

Ants Extermination Service

When selecting a professional for ant extermination services, it’s important to consider their experience in handling similar pest issues. Homeowners should look for local providers who have a proven track record in effectively managing ant infestations within the community. Reputable contractors often have extensive knowledge of common ant species in the area and can tailor their approach to specific situations, increasing the likelihood of successful results.

Clear communication and well-defined expectations are essential when working with a pest control service. Homeowners are encouraged to seek providers who offer detailed explanations of their treatment methods, what clients can anticipate during and after the service, and any necessary follow-up steps. Transparent communication helps ensure that both parties are aligned and that the homeowner feels informed and comfortable throughout the process.

Reputable references and positive feedback from previous clients can serve as valuable indicators of a local pest control provider’s reliability. Homeowners may want to inquire about references or seek out online reviews to gauge the experiences of others in the community. Establishing contact with past clients or reviewing testimonials can provide insights into the provider’s professionalism, quality of work, and overall reputation, aiding in the decision-making process.

Get an Ants Extermination Service Quote

Property owners in Pearland, TX use Ants Extermination Service services for practical projects around their homes and businesses. The sections below highlight everyday jobs and straightforward project options.

Ants Extermination Service
Ants Extermination Service

Ants extermination services are commonly sought by property owners in Pearland, TX, when they notice ant activity around their homes or businesses. Common situations include finding trails of ants in kitchens, bathrooms, or other areas where food is stored, which can indicate an ongoing infestation. Property owners may also seek professional assistance after discovering ant nests in yards, gardens, or near foundations, especially when the problem persists despite basic cleaning or DIY efforts.

In addition to visible ant problems, property owners might look for extermination services to prevent future invasions or protect their property from potential damage. Ants can sometimes invade structures in search of food or water, leading to concerns about hygiene and pest control. Local service providers can help identify the source of the infestation and implement targeted treatments to address the issue effectively.

Get an Ants Extermination Service Quote

How do ant extermination services work? Ant extermination services typically involve inspecting the property to identify ant colonies, applying targeted treatments to eliminate them, and providing recommendations to prevent future infestations.

Are ant treatments safe for pets and children? Most professional ant treatments are designed to be safe when applied by experienced technicians, but it is recommended to follow specific safety guidelines provided by the service provider.

How long does an ant extermination treatment last? The effectiveness duration varies depending on the treatment method and ant species, but many treatments provide protection for several months.

What should I do before an ant extermination service appointment? Property owners are usually advised to clear the treatment area of food, dishes, and clutter to allow technicians to access affected areas easily.

Can ant extermination services prevent future infestations? Yes, professional services often include recommendations and treatments that can help reduce the likelihood of future ant problems.

Ants Control Solutions - Local service providers offer targeted treatments to eliminate ant infestations and prevent future visits.

Inspection and Identification - Pros can assess property conditions to identify ant species and determine the most effective extermination methods.

Barrier and Residual Treatments - Experts utilize barrier applications and residual sprays to create lasting defenses against ants entering the premises.

Ongoing Monitoring and Prevention - Service providers can develop customized plans to monitor ant activity and implement preventative strategies.

Ants Extermination Service

Considering Ants Extermination Service for a property in Pearland, TX? The sections above highlight common project types, practical options, and details that often shape the scope of work.

When you are ready, use the quote form to share a few details about your project. Local pros can review the basics and respond with options that match what you have in mind.

Get an Ants Extermination Service Quote

Ants Extermination Quotes

Our Trusted Partners
Cantu Pest Control
Orkin
Hawx Pest Control