Local Service Overview

Get Ants Extermination Service in Beasley, TX

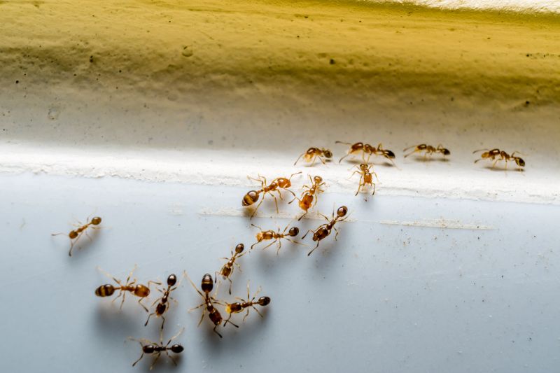
Ants extermination services for property owners in Beasley, TX, and nearby areas address ant infestations, prevent future invasions, and manage ongoing pest control projects.

Beasley, TX

Ants extermination services are an essential consideration for property owners in Beasley, TX seeking to maintain a comfortable and functional living or working environment. Effective pest control helps prevent ant infestations that can disrupt daily routines, damage structures, and compromise hygiene. By addressing ant issues promptly, property owners can enjoy a sense of safety and peace of mind, knowing their spaces are protected from potential health concerns and property deterioration caused by these pests.

Engaging professional extermination services offers numerous benefits, including enhanced durability of building structures and reduced ongoing maintenance needs. Proper treatment not only eradicates current ant colonies but also helps prevent future invasions, preserving the curb appeal of a property. This proactive approach supports the overall safety, appearance, and long-term functionality of properties in Beasley, TX, making pest control an investment in the property's value and livability.

Get Ants Extermination Service Quotes

  • Ants Extermination - Needed when ants invade residential or commercial spaces in Beasley, TX and surrounding areas.
  • Ants Extermination - Required for persistent ant problems in kitchens, bathrooms, or outdoor areas.
  • Ants Extermination - Necessary when ant colonies threaten to spread within homes or businesses in nearby communities.
  • Ants Extermination - Sought after for seasonal ant activity or sudden infestations in local properties.
  • Ants Extermination - Important when ant species pose a nuisance or potential health concerns in the area.

Get Ants Extermination Service Quotes

Ants Extermination Service
Ants Extermination Service
Ants Extermination Service

Ants extermination services involve identifying and eliminating ant infestations within residential, commercial, or industrial properties. Professionals typically conduct thorough inspections to locate ant colonies and determine the species involved. Treatment methods may include the application of targeted insecticides, baiting systems, and barrier treatments designed to eradicate existing colonies and prevent future invasions. These services aim to address the root causes of ant problems, ensuring a more lasting solution compared to basic pest control methods.

Ant infestations can create numerous issues for property owners. Aside from the nuisance of constant ant activity, certain species can cause structural damage by nesting in wood or insulation. Additionally, ants can contaminate food supplies and surfaces, posing health risks especially in kitchens and food storage areas. In some cases, ant colonies may attract other pests or contribute to unsanitary conditions, making professional extermination a necessary step to maintain a clean and safe environment.

Various types of properties seek ant extermination services, including single-family homes, apartment complexes, restaurants, and retail stores. Residential properties often require treatment to protect food and living spaces from ant incursions. Commercial establishments, especially those involved in food preparation or storage, prioritize pest control to adhere to health standards and prevent business disruptions. Additionally, property managers and landlords may engage pest control providers to manage ant problems across multiple units or larger complexes.

Professional ant extermination services are tailored to the unique needs of each property type. Service providers typically customize treatment plans based on the extent of the infestation, the specific ant species involved, and the property's layout. Regular inspections and maintenance treatments may be recommended to sustain control over ant populations and prevent re-infestation. Contacting local pest control specialists can help property owners find effective solutions to manage ant issues efficiently and maintain a pest-free environment.

The overview below groups typical Ants Extermination Service projects into broad ranges so you can see how smaller, mid-sized, and larger jobs often compare in Beasley, TX.

In many markets, a large share of routine jobs stays in the lower and middle ranges, while only a smaller percentage of projects moves into the highest bands when the work is more complex or site conditions are harder than average.

Initial Inspection - The cost for an ant inspection typically ranges from $50 to $150, depending on property size and complexity. This fee often covers identifying the ant species and infestation extent.

Perimeter Treatment - Applying treatment around the home's exterior usually costs between $100 and $300. Larger properties or multiple treatments can increase the overall expense.

Interior Treatment - Interior ant extermination services generally fall within the $75 to $200 range, based on the number of rooms and severity of infestation.

Ongoing Monitoring - Regular follow-up visits or maintenance plans can cost from $50 to $150 per visit, depending on the frequency and scope of service.

Actual totals will depend on details like access to the work area, the scope of the project, and the materials selected, so use these as general starting points rather than exact figures.

Get an Ants Extermination Service Quote

Ants Extermination services involve professionals who identify ant infestations and implement targeted removal methods to eliminate colonies effectively.

Local pros specializing in ant control assess the extent of the infestation and recommend appropriate treatment options to prevent future invasions.

Ants Extermination services often include inspection, baiting, and environmentally safe treatments tailored to residential and commercial properties.

Service providers may also advise on sanitation and structural adjustments to reduce attractants and prevent re-infestation.

Experts in ant extermination utilize various techniques to address different species and nesting sites within Beasley, TX, and surrounding areas.

Contacting local ant control specialists ensures tailored solutions to manage and eradicate ant problems efficiently.

Ants Extermination Service

When comparing ant extermination services, it is important to consider the experience of local service providers. Established professionals often have a history of successfully managing ant infestations in residential settings similar to those in Beasley, TX. A provider's experience can reflect their familiarity with common ant species in the area and their ability to implement effective treatment strategies. Homeowners can inquire about how long a contractor has been operating locally and their specific experience with ant control to help determine their suitability for the job.

Clear communication and well-defined expectations are key factors when selecting an ant extermination service. Reputable providers typically offer detailed information about their treatment methods, what homeowners can expect during and after service, and any necessary follow-up. Transparent communication ensures that homeowners understand the scope of work and can make informed decisions. It is advisable to review how service providers articulate their processes and whether they are responsive to questions, as this can indicate their professionalism and commitment to customer clarity.

Reputation and references from previous clients serve as valuable indicators of a local service provider’s reliability. Homeowners are encouraged to seek out reputable references or reviews from neighbors or community members who have utilized their services. Trusted providers often have a track record of satisfied customers and positive feedback. Additionally, reliable communication channels and responsiveness can reflect a contractor’s dedication to customer service. By evaluating these aspects, homeowners can better identify local pros who are well-regarded within the community for their ant extermination expertise.

Get an Ants Extermination Service Quote

Property owners in Beasley, TX use Ants Extermination Service services for practical projects around their homes and businesses. The sections below highlight everyday jobs and straightforward project options.

Ants Extermination Service
Ants Extermination Service

Ants extermination services are commonly sought after by property owners in Beasley, TX, who notice ant activity around their homes or businesses. Common situations include finding visible ant trails in kitchens, pantries, or outdoor areas, which can indicate an ongoing infestation. Property owners may also seek professional assistance after noticing ant mounds or increased ant presence during warmer months, aiming to prevent potential damage or contamination of food supplies.

In addition to visible signs, property owners often look for ant extermination when preparing for events or seasonal changes that might attract ants. Unwanted ant colonies can interfere with outdoor gatherings or compromise the cleanliness of a property. Engaging local pest control professionals can help address these issues efficiently, reducing the likelihood of recurring problems and maintaining a pest-free environment.

Get an Ants Extermination Service Quote

How do ant extermination services work? Ant extermination services typically involve inspecting the property, identifying ant species and entry points, and applying targeted treatments to eliminate colonies and prevent future infestations.

Are ant treatments safe for pets and children? Many ant extermination methods are designed to be safe for households, but it is recommended to discuss safety concerns with local service providers before treatment.

How long does an ant extermination treatment last? The effectiveness duration varies depending on the treatment method and extent of the infestation; local pros can provide guidance based on specific situations.

Will I need multiple treatments to control an ant problem? Some ant infestations may require more than one treatment session for complete eradication, which local service providers can evaluate during an inspection.

How can I prevent future ant infestations? Preventative measures include maintaining cleanliness, sealing entry points, and consulting local pros for ongoing pest management recommendations.

Ant Control Solutions - Local service providers can implement targeted treatments to eliminate ant colonies and prevent future infestations.

Inspection and Identification - Pros can assess property conditions to identify ant entry points and nesting areas for effective removal strategies.

Preventive Measures - Experts may recommend sealing cracks and removing attractants to reduce the likelihood of ant re-infestation.

Ongoing Monitoring - Service providers can offer regular inspections to ensure ant problems are managed and do not recur.

Ants Extermination Service

Considering Ants Extermination Service for a property in Beasley, TX? The sections above highlight common project types, practical options, and details that often shape the scope of work.

When you are ready, use the quote form to share a few details about your project. Local pros can review the basics and respond with options that match what you have in mind.

Get an Ants Extermination Service Quote

Ants Extermination Quotes

Our Trusted Partners
Cantu Pest Control
Orkin
Hawx Pest Control